Skip to content
Valuation Map Downloads – Illinois Central (set 3)
Jackson to Osyka
MP 730.33 to 732 + Index
Download
MP 732 to 735, Nogan & Elton
Download
MP 738 to 741, Byram
Download
Byram Station
Download
MP 741 to 744
Download
MP 744 to 747, Terry
Download
Terry Station
Download
MP 747 to 750
Download
MP 750 to 753, Lake Chautauqua
Download
MP 753 to 756, Crystal Springs
Download
Crystal Springs Station
Download
MP 756 to 759, Gallman
Download
MP 759 to 762
Download
MP 762 to 765, Hazlehurst
Download
Hazlehurst Station
Download
MP 765 to 768, Martinsville
Download
MP 768 to 771
Download
MP 771 to 774, Beauregard, Cooks & Wesson
Download
Wesson Station
Download
MP 774 to 777, Wesson
Download
MP 777 to 780, Montgomery
Download
MP 780 to 783, Brookhaven
Download
Brookhaven Station (north)
Download
Brookhaven Station (south)
Download
MP 783 to 786
Download
MP 786 to 789, Hartman
Download
MP 789 to 792, Thayer, Cold Springs & Derby
Download
MP 792 to 795, Bogue Chitto
Download
Bogue Chitto Station
Download
MP 795 to 798, Norfield
Download
Norfield Station
Download
MP 798 to 801, Johnston
Download
MP 801 to 804, Summit
Download
Summit Station
Download
MP 804 to 806.12, McComb
Download
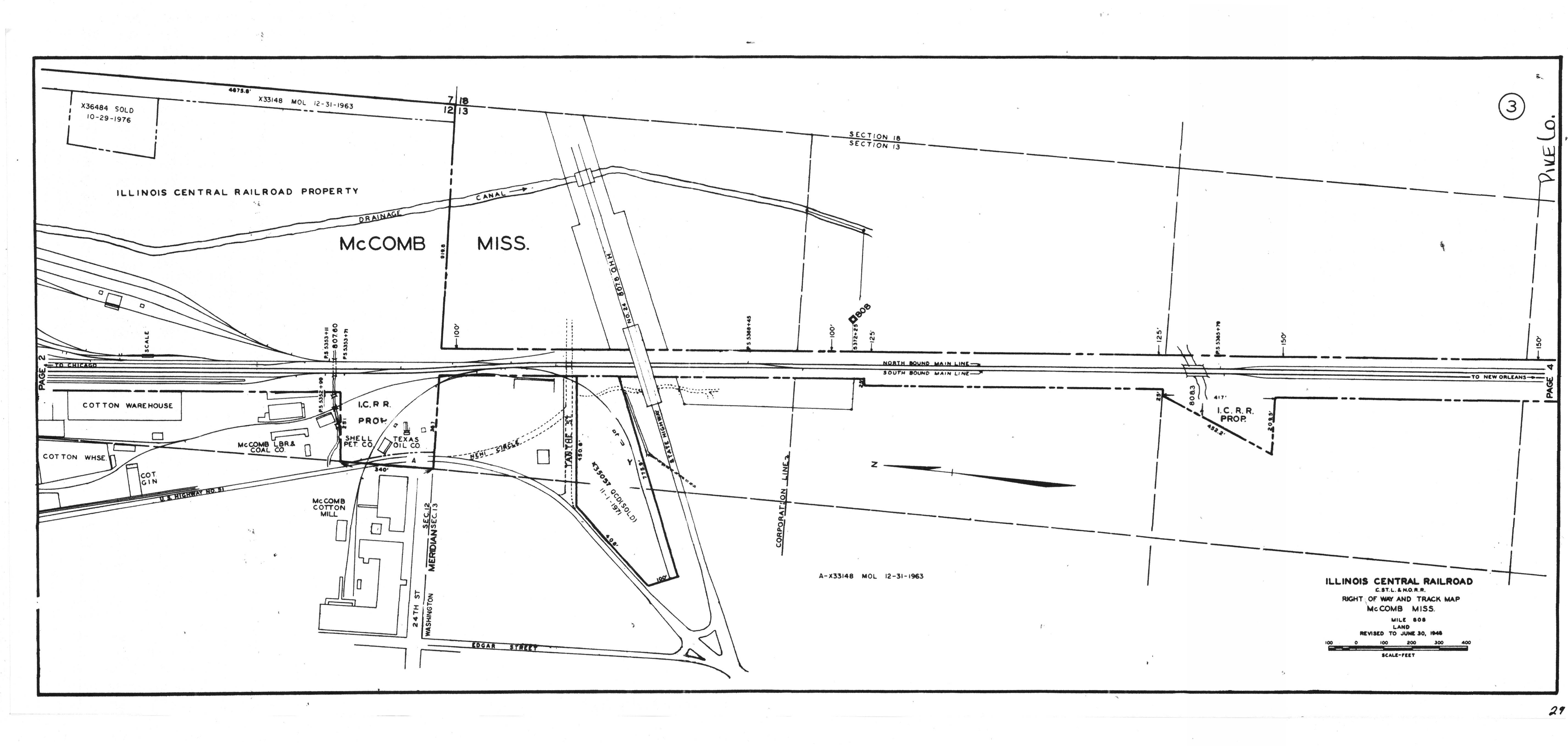
MP 806.12 to 808, McComb
Download
McComb Station (north)
Download
McComb Station (south)
Download
MP 808 to 811, South Yard & Fernwood
Download
Fernwood Station
Download
MP 811 to 814. Fernwood & Magnolia
Download
Magnolia Station
Download
MP 814 to 817, Magnolia
Download
MP 817 to 820, Chatawa
Download
MP 820 to 823
Download
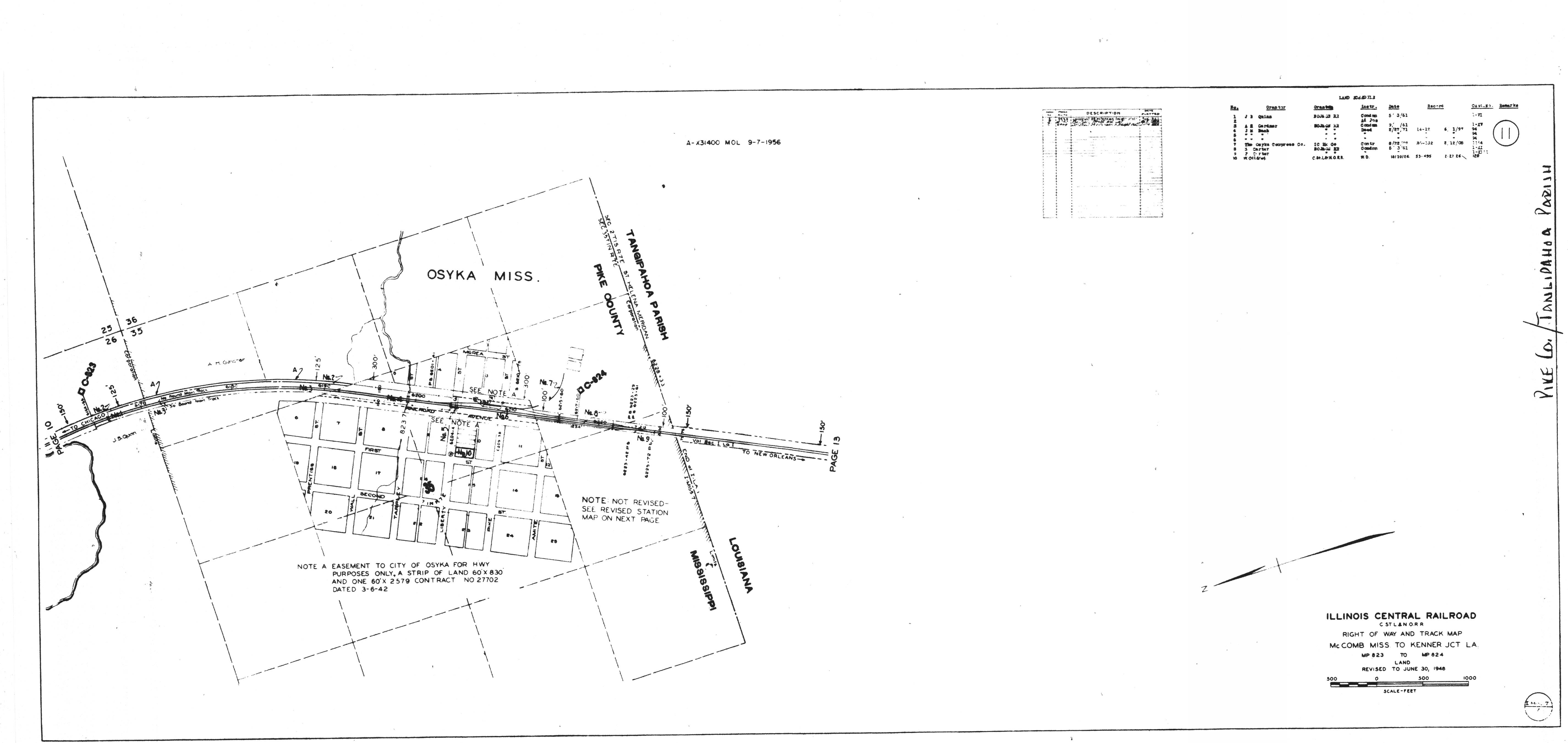
MP 823 to 824.20 Osyka
Download
Osyka Station
Download
HOME
Subscribe
Subscribed
R.C's information on selected topics in Mississippi
Sign me up
Already have a WordPress.com account?
Log in now.
R.C's information on selected topics in Mississippi
Subscribe
Subscribed
Sign up
Log in
Copy shortlink
Report this content
View post in Reader
Manage subscriptions
Collapse this bar